Skip to content
Home
City of Fremantle website
View All Projects
Sign in
Register
Home
/
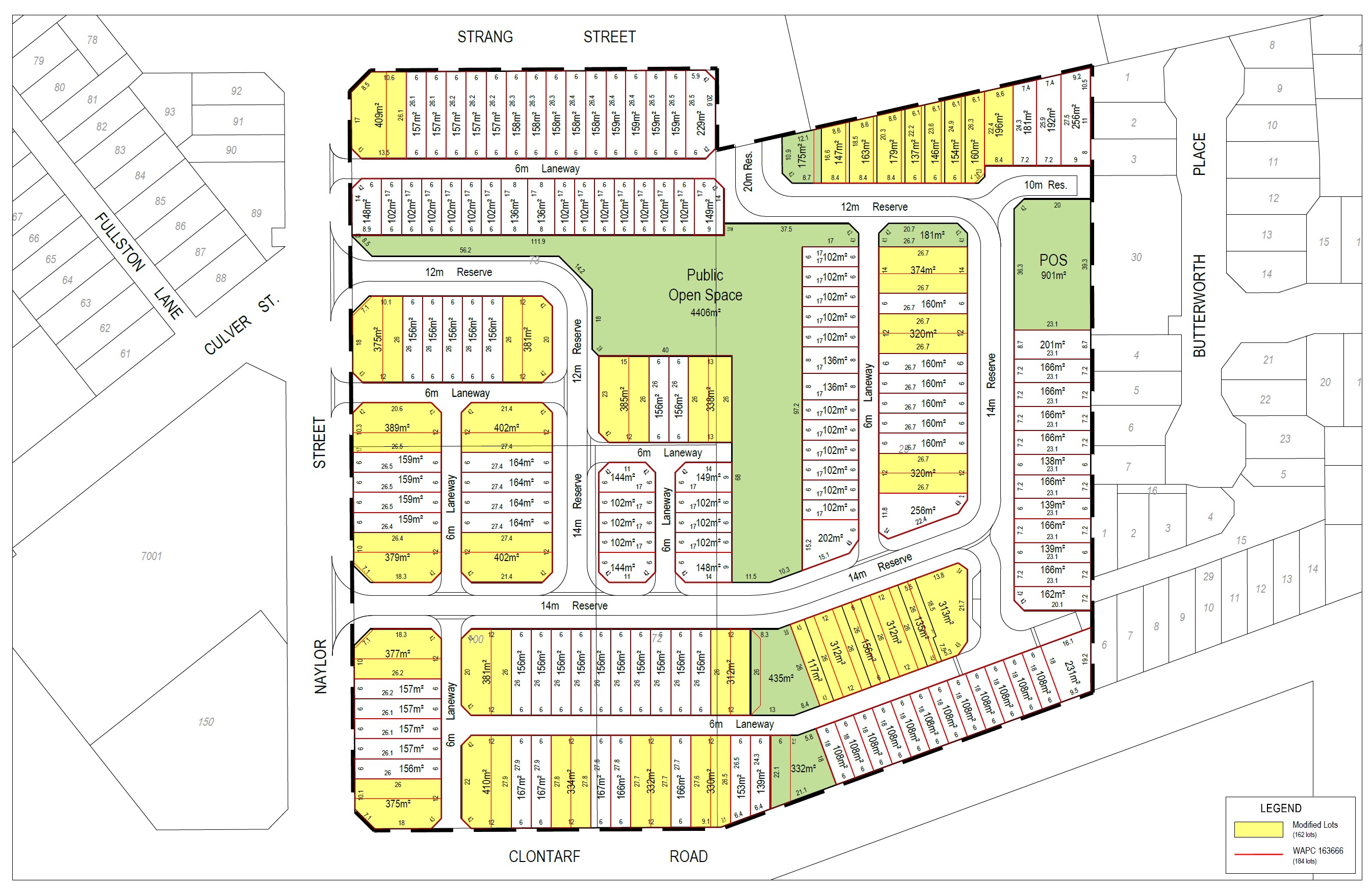
Development Application - 1 Naylor Street, 2 and 4 Clontarf Road, Beaconsfield - WAPC163666
/
Submission Form- 1 Naylor Street, 2 & 4 Clontarf Road, Beaconsfield - WAPC163666
CLOSED: This survey has concluded.
Submission Form- 1 Naylor Street, 2 & 4 Clontarf Road, Beaconsfield - WAPC163666
Please review the proposal and write your submission in the space provided or attach your submission as a file.