Skip to content
Home
City of Fremantle website
View All Projects
Sign in
Register
Home
/
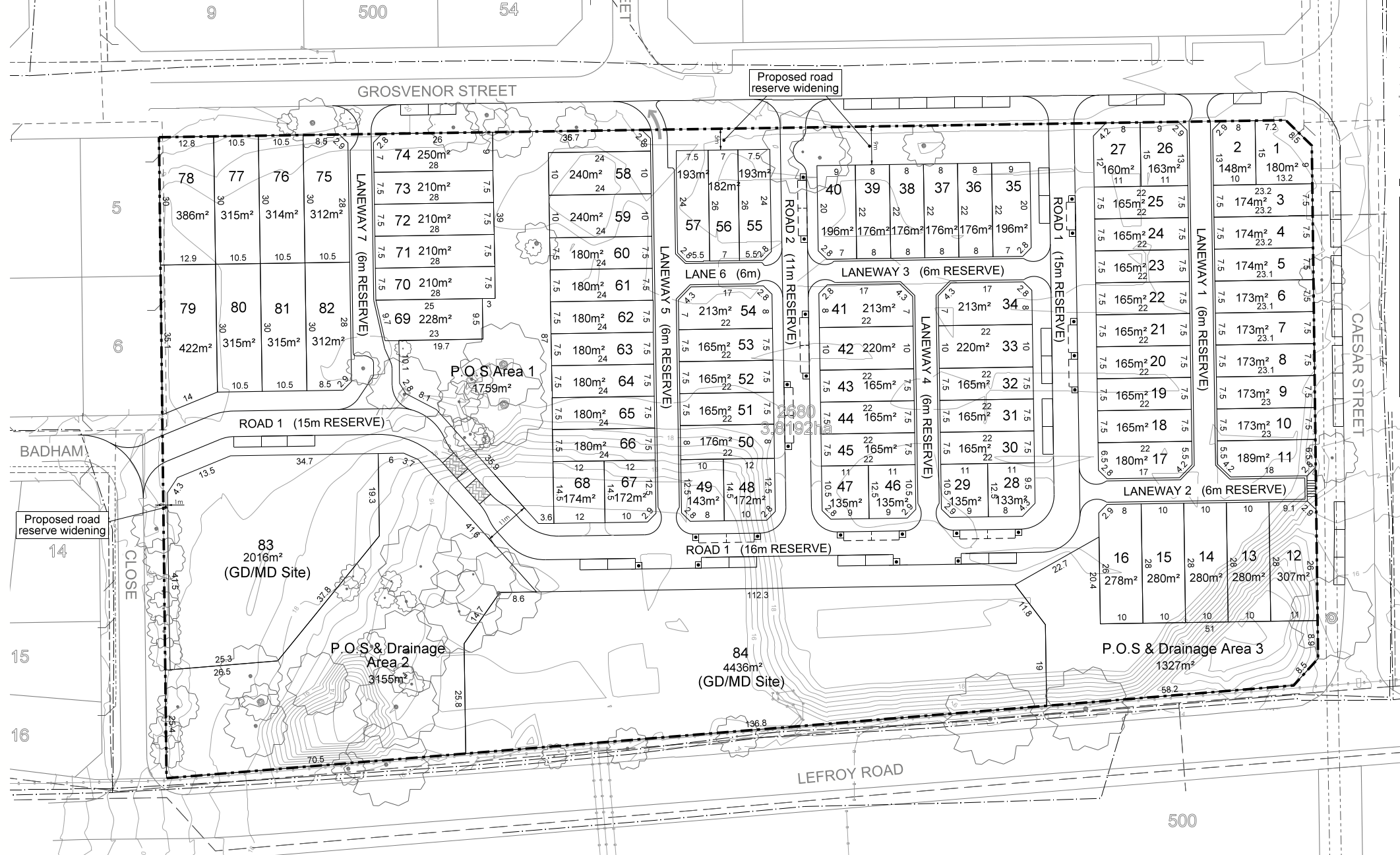
Beaconsfield Tafe Subdivision - Nos. 11-15 (Lot 2680) Grosvenor Street, Beaconsfield - City Ref. WAPC200708
/
Submission Form- Former Beaconsfield Tafe Subdivision - Nos. 11-15 (Lot 2680) Grosvenor Street, Beaconsfield - WAPC200708
CLOSED: This survey has concluded.
Submission Form- Former Beaconsfield Tafe Subdivision - Nos. 11-15 (Lot 2680) Grosvenor Street, Beaconsfield - WAPC200708
Please review the proposal and write your submission in the space provided or attach your submission as a file.